Bidding Set to Close on 2 Ac Madison County VA Building Lot w/Appd Septic & Well Permits Announces Nicholls Auction Mktg
Large Madison County Building Lot Ready for Your Dream Home. Online Bidding Only.
Nicholls Auction Marketing Group announces the closing of online only bidding on a large Madison County building lot ready for your dream home.”
FREDERICKSBURG, VA, UNITED STATES, February 24, 2026 /EINPresswire.com/ -- Nicholls Auction Marketing Group, Inc., (www.nichollsauction.com) announces the closing of online only bidding on a large Madison County building lot ready for your dream home on March 3 according to John Nicholls, president of the company. — John Nicholls
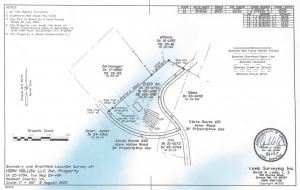
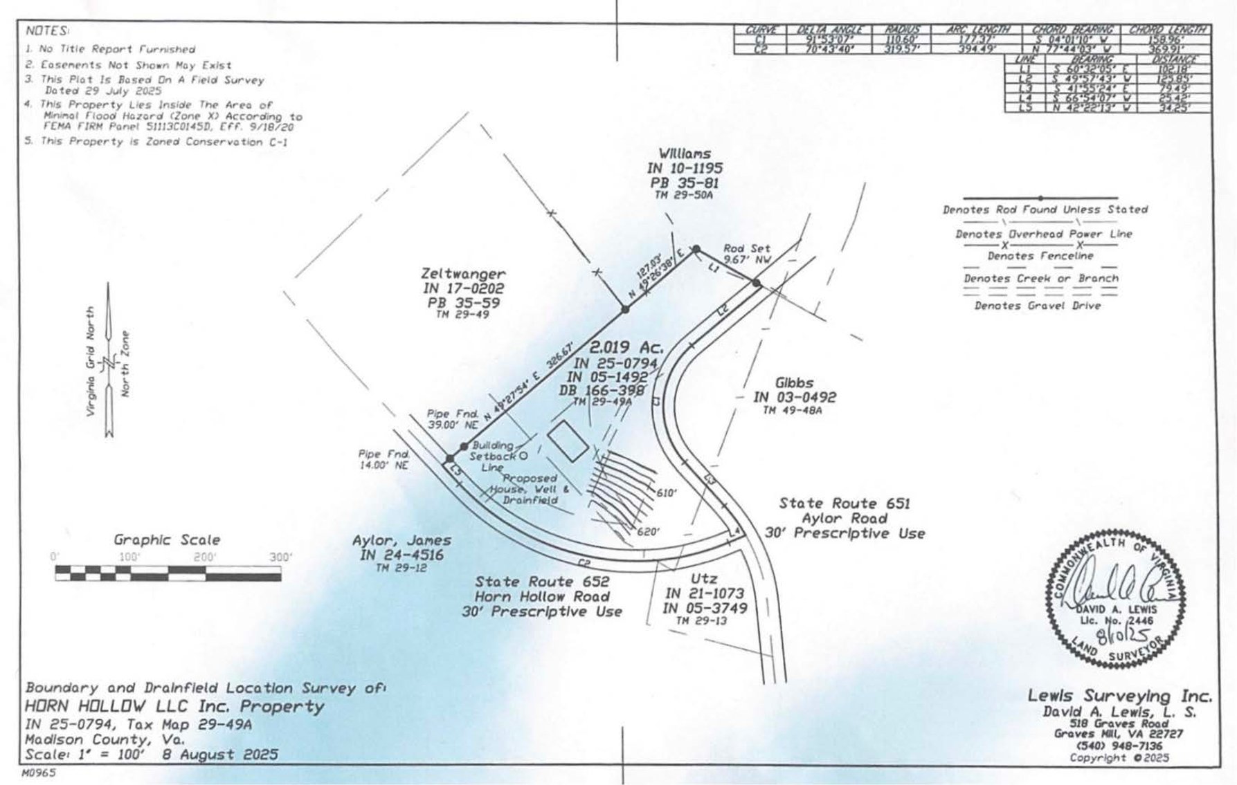
“The 2.019± acre building lot with approved septic & well permits, newly installed driveway and access onto 2 state maintained roads is an excellent opportunity for individual homeowners, builders or investors to buy for your current or future needs,” said Nicholls. “Make plans now to bid and buy and make it yours.”
“The building lot is conveniently located only 6 miles from Rt. 29/Downtown Madison, 20 miles from Culpeper, 21 miles from Orange, and a short drive to Charlottesville, Harrisonburg & Fredericksburg, VA,” said Tony Wilson, auction marketing coordinator.
The online auction’s date, address and highlights follow below noted Wilson.
Date: The online only bidding begins to close on Tuesday, March 3, 2026 @ 10:00 AM.
Location of the property: Horn Hollow Ln., Madison, VA 22727 (Lot is adjacent to 100 Horn Hollow Ln.)
2.019 +/- acre Madison County building lot
• On site sewage system construction permit approved for a 3 bedroom drainfield
• Drilled well permit approved
• Virginia Department of Health permits must be transferred
• Newly installed driveway; access to 2 state maintained roads
For more highlights and details, visit www.nichollsauction.com.
The online only real estate auction is open to the public.
For more information, call Tony Wilson (540) 748-1359 visit www.nichollsauction.com.
Nicholls Auction Marketing Group, Inc., with over 57 years of auction superiority and over 200 years of combined experience, has been synonymous with excellence and successfully marketing and selling thousands of properties.
# # #
About Nicholls Auction Marketing Group, Inc.
Nicholls Auction Marketing Group, Inc., is a professional accelerated marketing firm specializing in the promotion and sale of real estate via the auction method of marketing. Headquartered in Fredericksburg, VA, NAMG has been serving the needs of the Mid-Atlantic region since 1968. The Nicholls team comprises world and state champion auctioneers, an award winning marketing staff, and sales percentages unmatched in the industry. For more information about Nicholls Auction Marketing Group, Inc., visit www.nichollsauction.com or call 540-898-0971.
Tony Wilson
Nicholls Auction Marketing Group
+1 540-748-1359
info@nichollsauction.com
Visit us on social media:
Facebook
X
Legal Disclaimer:
EIN Presswire provides this news content "as is" without warranty of any kind. We do not accept any responsibility or liability for the accuracy, content, images, videos, licenses, completeness, legality, or reliability of the information contained in this article. If you have any complaints or copyright issues related to this article, kindly contact the author above.




